Fisch des Jahres

Nominierungen 1984 bis heute

Startseite    Fischportal    Daten & Fakten    Fisch des Jahres

Seit dem Jahr 1984 wird jährlich eine Fischart, die infolge schädigender Einflüsse in ihrem Bestand gefährdet oder sogar ausgestorben ist, zur Fischart des Jahres erklärt. War es anfangs die Petri Stiftung, die diese Nominierung veranlasste, wird der Fisch des Jahres seit 1991 zunächst durch den VDSF (Verband Deutscher Sportfischer) und nach der Vereinigung der beiden ost- und westdeutschen Verbände im Jahr 2013 durch den Deutschen Angelfischerverband (DAFV) benannt. Die Nominierung erfolgt dabei zusammen mit dem Bund für Naturschutz (BfN) und in Abstimmung mit dem Verband Deutscher Sporttaucher (VDST). Ab dem Jahr 2023 beteiligt sich auch die Gesellschaft für Ichthyologie e.V. (GFI) an der Wahl zum Fisch des Jahres.

Fische des Jahres

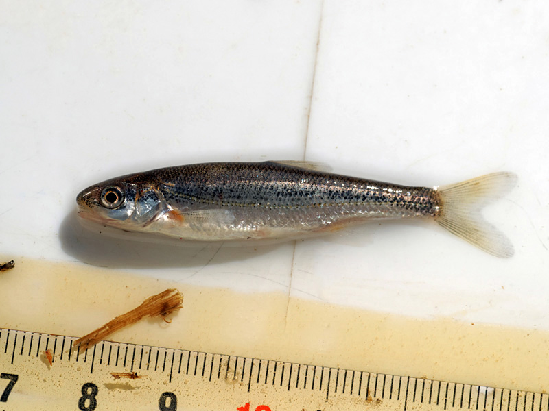
2025 − Aal

Der Aal ist neben dem Karpfen, dem Lachs oder der Forelle sicher eine der bekanntesten Süßwasserfischarten unserer Gewässer. Obwohl er als Speisefisch äußerst beliebt ist, wird er aufgrund seiner schlangenartigen Gestalt, seiner verborgenen Lebensweise und seines Rufs als Aasfresser nicht von jedem geschätzt ...   weiterlesen

Anguilla anguilla (Linnaeus, 1758)

2024 − Dorsch / Kabeljau

Der Dorsch oder Kabeljau, wie er im gesamten Nordseeraum meist bezeichnet wird, war früher eine der häufigsten Arten der Nord- und Ostsee. Heute sind die Bestände dieser auch wirtschaftlich bedeutenden Fischart stark gefährdet. Die Gründe dafür sind vielfältig und reichen vom Klimawandel über Überdüngung und Überfischung bis hin zum schädlichen Einfluss übermäßiger Fressfeinde.

Gadus morhua (Linnaeus, 1758)

2023 − Flussbarsch

Flussbarsche sind in den Seen und Flüssen Deutschlands weit verbreitet und besiedeln nahezu alle Gewässerformen. Sie meiden in der Regel starke Strömung und sind daher ...   weiterlesen

Perca fluviatilis (Linnaeus, 1758)

2022 − Atlantischer Hering

Die Corona-Pandemie hat im Jahr 2021 zu Einschränkungen in fast allen Lebensbereichen geführt. Da man befürchten musste, dass auch öffentlichkeitswirksame Aktivitäten zugunsten dieser Fischart nur bedingt erfolgreich sein könnten, wurde in Abstimmung aller beteiligten Institutionen beschlossen, den Atlantischen Hering auch in 2022 zum Fisch des Jahres auszurufen.

Clupea harengus (Linnaeus, 1758)    

2021 − Atlantischer Hering

Clupea harengus (Linnaeus, 1758)    

2020 − Nase

Die Nase ist eine gesellig lebende, strömungsliebende Fischart unserer sauberen und sauerstoffreichen Flüsse und Bäche. Bevorzugt zu finden ist sie in der Barbenregion der Flüsse. Sie dringt jedoch ...   weiterlesen

Chondrostoma nasus (Linnaeus, 1758)

2019 − Lachs

Salmo salar (Linnaeus, 1758)

2018 − Stichling

Gasterosteus aculeatus (Linnaeus, 1758)

2017 − Flunder

Platichthys flesus (Linnaeus, 1758)

2016 − Hecht

Der Hecht ist ein weit verbreiteter Raubfisch unserer stehenden und langsam fließenden Gewässer. Mit seinem entenschnabelförmigen und zahnbewehrten Maul ...   weiterlesen

Esox lucius (Linnaeus, 1758)

2015 − Huchen

Hucho hucho (Linnaeus, 1758)

2014 − Stör

Acipenser sturio (Linnaeus, 1758)
Acipenser oxyrhinchus (Linnaeus, 1758)
Acipenser spec.

2013 − Forelle

Salmo trutta (fario) (Linnaeus, 1758)
Salmo trutta (trutta) (Linnaeus, 1758)
Salmo trutta (lacustris) (Linnaeus, 1758)

2012 − Neunaugen

Lampetra planeri (Bloch, 1784)
Lampetra fluviatilis (Linnaeus, 1758)
Petromyzon marinus (Linnaeus, 1758)

2011 − Äsche

Die Äsche ist eine strömungsliebende und gesellig lebende Fischart unserer Fließgewässer. Sie ist Leitfisch der nach ihr benannten Fließgewässerregion und bevorzugt schnell fließende, sauerstoffreiche sowie sommerkühle Gewässer ...   weiterlesen

Thymallus thymallus (Linnaeus, 1758)

2010 − Karausche

Carassius carassius (Linnaeus, 1758)

Fische des Jahres vor 2010

2009 − Aal

Anguilla anguilla (Linnaeus, 1758)

2008 − Bitterling

Rhodeus amarus (Bloch, 1782)

2007 − Schleie

Tinca tinca (Linnaeus, 1758)

2006 − Groppe

Cottus gobio (Linnaeus, 1758)

2005 − Bachforelle

Salmo trutta (fario) (Linnaeus, 1758)

2004 − Maifisch

Alosa alosa (Linnaeus, 1758)    

2003 − Barbe

Barbus barbus (Linnaeus, 1758)

2002 − Quappe

Lota lota (Linnaeus, 1758)

2001 − Stör

Acipenser sturio (Linnaeus, 1758)    

2000 − Lachs

Salmo salar (Linnaeus, 1758)

1999 − Nordseeschnäpel

Coregonus oxyrhynchus (Linnaeus, 1758)

1998 − Strömer

Telestes souffia (Linnaeus, 1758)

1997 − Äsche

Thymallus thymallus (Linnaeus, 1758)

1996 − Meerforelle

Salmo trutta (trutta) (Linnaeus, 1758)

1995 − Aal

Anguilla anguilla (Linnaeus, 1758)

1994 − Nase

Chondrostoma nasus (Linnaeus, 1758)

1993 − Dorsch / Kabeljau

Gadus morhua (Linnaeus, 1758)

1992 − Atlantischer Lachs

Salmo salar (Linnaeus, 1758)

1991 − Elritze

Phoxinus phoxinus (Linnaeus, 1758)

1990 − Bachforelle

Salmo trutta (fario) (Linnaeus, 1758)

1989 − Groppe

Cottus gobio (Linnaeus, 1758)

1988 − Bach- und Flussneunauge

Lampetra planeri (Bloch, 1784)
Lampetra fluviatilis (Linnaeus, 1758)

1987 − Europäischer Schlammpeitzger

Cottus gobio (Linnaeus, 1758)

1986 − Schneider

Alburnoides bipunctatus (Linnaeus, 1758)

1985 − Bitterling

Rhodeus amarus (Bloch, 1782)

1984 − Bachschmerle

Barbatula barbatula (Bloch, 1782)

Quellen:
Die Süßwasserfische Europas (31)
FishBase (36)
 

ANZEIGE

Weitere Infos zur Nominierung

Waren in der Vergangenheit häufig starke Gewässerverschmutzungen Ursache für die Gefährdung oder des völlige Verschwinden einer Fischart, sind es heute vor allem die fehlende Durchgängigkeit und der kanalartige Ausbau der Fließgewässer, also eher strukturelle Defizite, die sich aber mindestens ebenso gravierend auswirken.

Die jährliche Nominierung einer besonders betroffenen Fischart soll die Öffentlichkeit und natürlich auch die Politik auf diese Missstände aufmerksam machen. Und diese Aufmerksamkeit haben unsere sonst so im Verborgenen lebenden Fische ganz besonders nötig!

Anzeige